
Entering into beautiful Sagamore Beach! Aerial view of one of our leases and the construction of another... 6.96 acres adjacent to this spot still available...

Description/Current Use: Cleared, 6.96 acres, commercial hexagon vacant lot, adjacent to parcel #54 on map 6 (Dunkin Donuts & Tesla Super Charging Station). 800 feet of frontage on Canal St & 345 feet of frontage on Meetinghouse Lane.
Major Roadways/Travel Routes: Close to intersection of lights, Cape Cod Canal, Sagamore Bridge, Route 6W /6E, Route 3 North, Route 3A North. Nearby Businesses: Sagamore Shell, Dunkin Donuts, McDonald's, Starbucks, Tesla Super Charging Station, U.S. Post Office, UPS Store, MASS DOT Information Center, Ace Hardware Plaza.

Description/Current Use: Partially cleared rectangular 0.721 acre commercial vacant lot with 125 feet frontage. 275 feet back lot line. Abuts Sagamore Bridge, Canal Access Lot within 200ft. Beautiful views of
the Cape Cod Canal.
Major Roadways/Travel Routes: Cape Cod Canal, Sagamore Bridge, Route 6W /6E (Scenic Hwy & Cranberry Hwy), Route 3 North, Route 3A.
Nearby Businesses: Sagamore Shell, Dunkin Donuts, McDonald's, Tesla Super Charging Station, U.S. Post Office, UPS Store, MASS DOT Information Center, Ace Hardware Plaza.

Description/Current Use: 25 acre rectangle on the East Side of RT 3, Grandfathered Sand Pit Residential/Recreation zoned with vacant forest. Adjacent to 4 acres on the Bourne Town line. Major Roadways/Travel Routes: Route 3A, Route 3, and Route 6. Nearby Businesses: White Cliffs Country Club, Cellular Tower, residential and commercial lots, Landscaping Companies, Professional Buildings, CVS, Shaw’s, Flynn's Restaurant, Subway, Sagamore Shell, Dunkin Donuts, Sagamore Mobil, McDonald's

Description/Current Use: Triangular 3.38 acres of vacant forest. West Side of RT 3: Rectangle, Residential/Recreation- zoned R-20MD. Major Roadways/Travel Routes: Route 3A, Route 3, Route 6, and Herring Pond (Plymouth’s largest pond) Nearby Businesses: White Cliffs Country Club, Cellular Tower, residential and commercial lots, Landscaping Companies, Professional Buildings, CVS, Shaw’s, Flynn's Restaurant, Subway, Sagamore Shell, Dunkin Donuts, Sagamore Mobil, McDonald's

Description/ Current Use: Both parcels to be sold
together making 4.18 acres of vacant, commercially zoned, flat lot.
335 ft frontage on State Rd & 605 ft frontage on Rt 3 North (No access to Rt 3 North). Abuts 2419 State Road, Plymouth, MA; The 25 acre piece shown above. Last business lot before town and county change; intersection of Bourne & Plymouth.
Major Roadways/Travel Routes: Route 3A, Cape Cod Canal, Sagamore Bridge, Route 3 North & Rt 3 South, and Route 6 W/6E.
Nearby Businesses: White Cliffs Country Club, Cellular Tower, residential and commercial lots, Landscaping Companies, Professional Buildings, CVS, Shaw’s, Flynn's Restaurant, Subway, Sagamore Shell, Dunkin Donuts, Sagamore Mobil, McDonald's

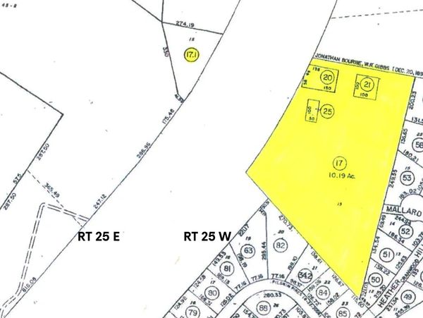
Description/ Current Use: Vacant, forest, trapezoid shaped property, wider bottom than top, Westbound Side of RT 25. Abuts Nightingale Estates. Across from 0 Bournedale Rd, 02532
Major Roadways/Travel Routes: Route 25, Route 495, Route 195, Route 28 E/W, Scenic Highway & Cranberry Highway Route 6 E/W
Nearby Businesses: CVS, Walmart, Home Depot, Ocean State Job Lot, Water Wizz, Bourne Scenic Park, Cape Cod Aggregates, numerous gas stations, fast food, restaurants, various private and government sectors businesses.

Description/Current Use: Vacant 0.689 acre of commercially zoned forest. Triangular property parcel #17.1 on RT 25 Eastbound.
Across from 0 Scenic Hwy, Bourne, MA 02532
Major Roadways/Travel Routes: Route 25, Route 495, Route 195, Route 28 E/W, Scenic Highway & Cranberry Highway Route 6 E/W
Nearby Businesses: CVS, Walmart, Home Depot, Ocean State Job Lot, Water Wizz, Bourne Scenic Park, Cape Cod Aggregates, numerous gas stations, fast food, restaurants, various private and government sectors businesses.

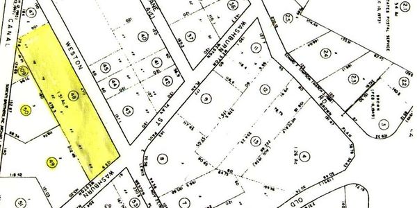
Description/ Current Use: Vacant/Forest rectangle, commercially zoned, directly across from Cape Cod Canal. Area totals 1.393 acres with 153 feet frontage on Canal Street), & #109 (125 feet frontage on Canal Street). 470 feet of frontage on Weston St. 124 feet of frontage on Washburn Street.
Major Roadways/Travel Routes: Cape Cod Canal, Sagamore Bridge, Scenic Highway & Route 6W/6E, Route 3 North, Route 3A North.
Nearby Businesses: Residential and commercial lots & condominiums. Sagamore Shell, Dunkin Donuts, McDonald's, Tesla Super Charging Station, U.S. Post Office, UPS Store, MASS DOT Information Center, Ace Hardware Plaza: Ace Hardware/ Mr. G’s Pizza/Chen’s Chinese Restaurant/ Business Offices/ECT.

Description/Current Use: Vacant 0.936 acres of commercially zoned, partially cleared lot. 140 feet frontage on Canal Street, directly across from Cape Cod Canal, vacant heptagon, commercially zoned.
Major Roadways/Travel Routes: Cape Cod Canal, Sagamore Bridge, Scenic Highway & Route 6W/6E, Route 3 North, Route 3A North.
Nearby Businesses:Residential and commercial lots & condominiums. Sagamore Shell, Dunkin Donuts, McDonald's, Tesla Super Charging Station, U.S. Post Office, UPS Store, MASS DOT Information Center, Ace Hardware Plaza: Ace Hardware/ Mr. G’s Pizza/Chen’s Chinese Restaurant/ Business Offices/ECT.

LEASED

LEASED

LEASED

LEASED

SOLD

SOLD

SOLD

Sorenti Brothers, Inc.
P.O. Box 1120, 114 State Road, Suite A4, Sagamore Beach, MA 02562
Copyright © 2018 Sorenti.com - All Rights Reserved.